Rovnou na obsah Rovnou na menu
Menu
Obec Vědomice
ObecVědomice

Prodej pozemků v rozvojové lokalitě

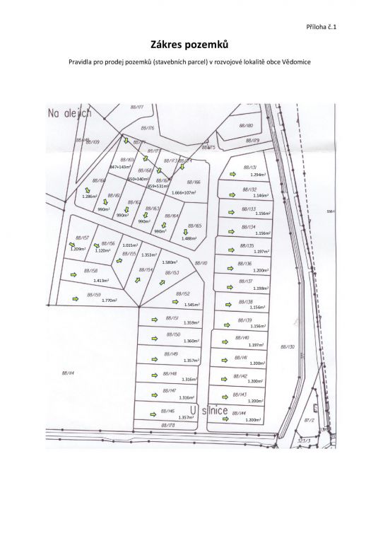
zákres pozemků

Aukční vyhláška

Aukční vyhláška_120337.pdf
Typ souboru: PDF dokument, Velikost: 1,08 MB

Zákres pozemku

zákres pozemku 88_140.pdf
Typ souboru: PDF dokument, Velikost: 2,86 MB

nahoru